Das Pechvögelchen Dora

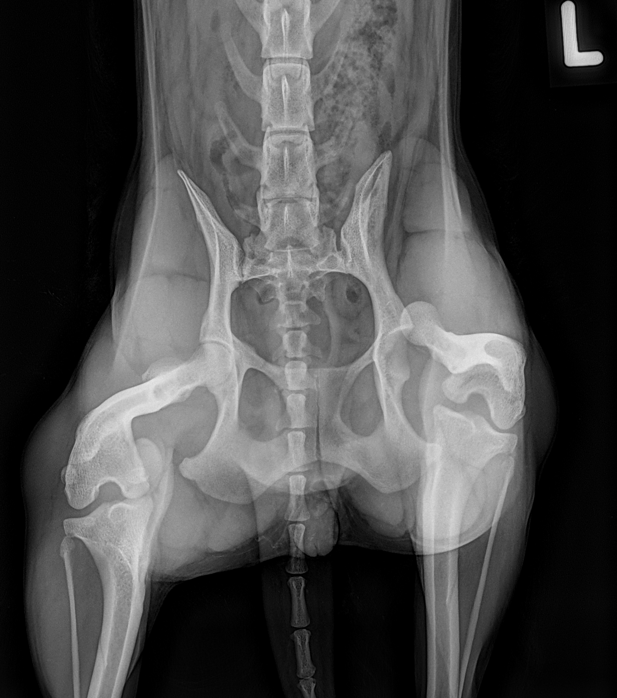
hat sich beim Spielen das Bein/Hüfte ausgekugelt. Heute war sie beim Chirurgen und liess es sich wieder einrenken. Hoffentlich hält es mit der Schlinge und sie kann sich eine OP sparen! Bitte helft, Daumen ganz fest drücken!

Da ich nicht herumlaufen soll wurde ich im Laufgitter eingesperrt, dieses wurde gesichert aber ich möchte doch rauuuuuussssss…